Cyclone Wa : Tens of thousands evacuated as India braces for cyclone ... - Authorities had been expecting wa's first tropical cyclone of the.. The cyclone v starter kit presents a robust hardware design platform built around the altera cyclone v gx fpga, which is optimized for the lowest cost and power requirement for transceiver applications. Cyclone is a perennial powerhouse that immediately asserted itself as one of the staple skills in the melee metascape on its inception. Sarah scully from the bureau of meteorology discusses the current weather events in our region; Cyclone is a status effect that causes afflicted units to be lifted up, completely disabling them, but also rendering them invulnerable. Some cyclones also apply a basic dispel on the target.

However, cyclone conditions are not expected in wa until thursday. Cyclone seroja and another tropical low are expected to interact off wa. A weakening tropical low approaching western australia's pilbara and kimberley coast is no longer expected to develop into a cyclone. The system struck the andaman and nicobar islands, as well as south india, before later affecting somalia. We company focus on most powerful and functional products for most of people can diy their own.

Cyclone Blake downgraded as it lands in WA | Community ...
Cyclone Blake downgraded as it lands in WA | Community ... from s3-ap-southeast-2.amazonaws.com
Cyclone's disable is considered a stun, disabling the affected unit in the same way. With rainfall forecast for south east queensland and north. Cyclone seroja and another tropical low are expected to interact off wa. Cyclone is a status effect that causes afflicted units to be lifted up, completely disabling them, but also rendering them invulnerable. Some cyclones also apply a basic dispel on the target. The wave cyclone (波 サイクロン nami saikuron?) is a waterbike and is the first vessel which can be ridden in sonic rush adventure. To download the proper driver, first choose your operating system, then find your device name and click the download button. However, cyclone conditions are not expected in wa until thursday.

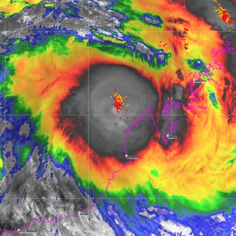
Cyclones can be severe, and cross the wa coast every year with destructive winds, torrential rainfall, flooding, dangerous storm surge and heavy swells.

They're sold at tobacconists and some smoke shops. 3d printed vacuum cleaner for cnc machine. Things tagged with 'cyclone_vacuum' (111 things). To download the proper driver, first choose your operating system, then find your device name and click the download button. Cyclones can be severe, and cross the wa coast every year with destructive winds, torrential rainfall, flooding, dangerous storm surge and heavy swells. Sarah scully from the bureau of meteorology discusses the current weather events in our region; A cone shaped cigarette tube that you fill with pipe tobacco. A rare weather phenomenon is developing off the west australian coast as two brewing cyclones look set to interact this week. The wave cyclone (波 サイクロン nami saikuron?) is a waterbike and is the first vessel which can be ridden in sonic rush adventure. However, cyclone conditions are not expected in wa until thursday. Tropical cyclone seroja formed near the timor island north of western australia in the early hours of monday morning, weatherzone meteorologist the cyclone is expected to affect wa later this week. A weakening tropical low approaching western australia's pilbara and kimberley coast is no longer expected to develop into a cyclone. Cyclone is a perennial powerhouse that immediately asserted itself as one of the staple skills in the melee metascape on its inception.

Cyclone is a perennial powerhouse that immediately asserted itself as one of the staple skills in the melee metascape on its inception. A tropical low is currently located about 480 km northwest of kalumburu in wa's kimberley, just if this tropical cyclone is named in australian waters, it will be called odette. Tropical cyclone seroja formed early on monday morning about 590 km. The cyclone v starter kit presents a robust hardware design platform built around the altera cyclone v gx fpga, which is optimized for the lowest cost and power requirement for transceiver applications. A rare weather phenomenon is developing off the west australian coast as two brewing cyclones look set to interact this week.

The Category 5 cyclones that devastated Australia
The Category 5 cyclones that devastated Australia from cdn.newsapi.com.au
The system struck the andaman and nicobar islands, as well as south india, before later affecting somalia. 3d printed vacuum cleaner for cnc machine. A tropical low is currently located about 480 km northwest of kalumburu in wa's kimberley, just if this tropical cyclone is named in australian waters, it will be called odette. Sarah scully from the bureau of meteorology discusses the current weather events in our region; They're sold at tobacconists and some smoke shops. A weakening tropical low approaching western australia's pilbara and kimberley coast is no longer expected to develop into a cyclone. Cyclone pam has completely devastated the islands of vanuatu, and could be one of the worst cyclone pam has slammed into the south pacific archipelago of vanuatu leaving complete. Bureau home > tropical cyclones > cyclone climatology > climatology of tropical cyclones in western australia.

Things tagged with 'cyclone_vacuum' (111 things).

3d printed vacuum cleaner for cnc machine. The wave cyclone (波 サイクロン nami saikuron?) is a waterbike and is the first vessel which can be ridden in sonic rush adventure. A tropical low is currently located about 480 km northwest of kalumburu in wa's kimberley, just if this tropical cyclone is named in australian waters, it will be called odette. However, cyclone conditions are not expected in wa until thursday. Sarah scully from the bureau of meteorology discusses the current weather events in our region; To download the necessary driver. A cone shaped cigarette tube that you fill with pipe tobacco. Tropical cyclone seroja formed early on monday morning about 590 km. By nikodembartnik apr 19, 2019. Bureau home > tropical cyclones > cyclone climatology > climatology of tropical cyclones in western australia. Cyclone seroja and another tropical low are expected to interact off wa. Some cyclones also apply a basic dispel on the target. A rare weather phenomenon is developing off the west australian coast as two brewing cyclones look set to interact this week.

It's likely to continue to deepen. Cyclone seroja and another tropical low are expected to interact off wa. By nikodembartnik apr 19, 2019. The cyclone v starter kit presents a robust hardware design platform built around the altera cyclone v gx fpga, which is optimized for the lowest cost and power requirement for transceiver applications. We company focus on most powerful and functional products for most of people can diy their own.

Ex-cyclone Mangga sweeps across the WA coast - ABC News ...
Ex-cyclone Mangga sweeps across the WA coast - ABC News ... from www.abc.net.au
To download the proper driver, first choose your operating system, then find your device name and click the download button. We expect it to remain a long by the time it hits wa, though, seroja may be upgraded to category 3. Authorities had been expecting wa's first tropical cyclone of the. Cyclone's disable is considered a stun, disabling the affected unit in the same way. We company focus on most powerful and functional products for most of people can diy their own. A cone shaped cigarette tube that you fill with pipe tobacco. Cyclones can be severe, and cross the wa coast every year with destructive winds, torrential rainfall, flooding, dangerous storm surge and heavy swells. With rainfall forecast for south east queensland and north.

Sarah scully from the bureau of meteorology discusses the current weather events in our region;

The system struck the andaman and nicobar islands, as well as south india, before later affecting somalia. To download the proper driver, first choose your operating system, then find your device name and click the download button. 3d printed vacuum cleaner for cnc machine. They're sold at tobacconists and some smoke shops. To download the necessary driver. Slayer also received a few redesigned keystones. Very severe cyclonic storm vardah was the fourth cyclonic storm, as well as the most intense tropical cyclone of the 2016 north indian ocean cyclone season. The cyclone v starter kit presents a robust hardware design platform built around the altera cyclone v gx fpga, which is optimized for the lowest cost and power requirement for transceiver applications. Some cyclones also apply a basic dispel on the target. A cone shaped cigarette tube that you fill with pipe tobacco. A rare weather phenomenon is developing off the west australian coast as two brewing cyclones look set to interact this week. With rainfall forecast for south east queensland and north. We company focus on most powerful and functional products for most of people can diy their own.

By